Soapbox Derby (1930s)
Last night, @daudig @telstarlogistic came across a motherload of San Francisco photos from the 1930s-1940s, including this rather startling photo of a Nazi rally put on by the German consulate at City Hall in 1935:
Nazis. I hate these guys.
This was also the sentiment of the photographer, John Gutmann, a German Jew who emigrated to San Francisco as the Nazis came to power:
“In 1933, the Nazis forbade the Jewish Gutmann to teach or exhibit. Given the increasingly dangerous political climate, he realized that he would have to leave Germany. The editor of the magazine Die Neue Revue (whose mother was American) told him: “There is only one country, that is the United States, the only state is California, the only city, San Francisco.”
Further digging by Mother Jones reporter @daudig revealed that this 1935 rally was in conjunction with the visit of a German cruiser, the Karlsruhe (sunk in 1940 after the invasion of Norway).
Reception for the German Admiral, 1935.
Mayor Angelo Rossi is on the left. The “Admiral” in the middle is in fact just a Captain with a really big hat — Captain Gunter Lütjens of the Karlsruhe to be precise. Guessing that the German (Nazi) Consul is on right?
(Lütjens would later be promoted to Admiral, and during WWII was a Kriegsmarine Fleet Commander. He would die aboard the Bismark in 1941. He was one of just three admirals to protest in writing against Kristallnacht in 1938. He was one-quarter Jewish, and it seems his wife was half-Jewish. At least for the first years of the Nazi regime, the German Admiralty fought to protect Jewish officers in the ranks.)
Gutmann’s photo archive at the University of Arizona’s Center for Creative Photography is rather amazing, and includes a frankly astounding number of photos of San Francisco from the 1930s to just before Gutmann’s passing in 1998. @bernalwood found this great picture of the old Soapbox Derby.
Somewhere in Potrero, but what street? I initially thought Arkansas, as I figured that might be the old Pac Bell tower lining up in the distance downtown. Lots of Google Streetviewage turned up no matches however. I called upon my super Twitter powers to force multiply an answer, and @donnyo came carolining to the rescue:
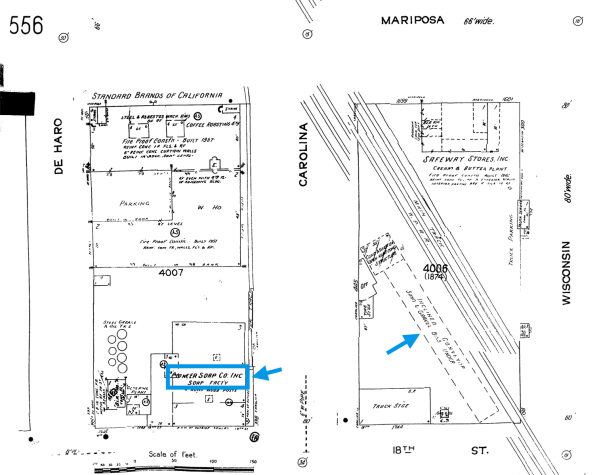
At the same moment @donnyo was sleuthing through newspaper archives, I took a different tack — I figured the giant conveyor belt would be easy to find on Sanborn maps. Sure enough, in the 1950 Sanborns, along Carolina, below 18th, what do we see?
Note also the soap powder ad on the right, which must have been for the Pioneer Soap Company.
As @donnyo notes, resurrecting the race today would be impossible as Carolina no longer exists between 18th & 19th.
The spirit of the soapbox derby lasted beyond the Potrero days — Outside Lands shows it was held in the Sunset in the 1950s:

and of course the secret underground Bernal soapbox derby:
Anyway, take a look at Gutmann’s archive of over 1000 San Francisco photos, and let me know what interesting things you see. Just a few that caught my eye:

An integrated school in 1934.
Cops Checking out Hunters Point, 1947:
If it’s not already done, the history of blacks in Hunters Point (and San Francisco in general) is a book waiting to be written. These 1937 redlining maps are sobering.
Description of grades and Interactive map by city and neighborhood on the T-Races site.
The First Two Towers of the Bay Bridge, 1935:
@daudig found this rather unbelievable shot, Fooling Around With Cable Cars, Castro Hill, 1934:

UPDATE: David Gallagher notes:
old timers used to tell me they would do something like tie a string to a piece of wood, then lower the other end of the string into the slot twirling it until it caught the cable, then watch their personal “cable car” take off.


















This is perfection; I particularly love the different strategies. I would have done newspaper archives first, then conveyer map, though the conveyor was the first thing I noticed (then the “powder” on bldg). It’s like a personality test, maybe.
ha, seriously, it’s like one’s historical MO.
Holy shit
old timers used to tell me they would do something like tie a string to a piece of wood, then lower the other end of the string into the slot twirling it until it caught the cable, then watch their personal “cable car” take off.
I see you don’t monetize your site, don’t waste your traffic, you
can earn extra bucks every month. You can use the best adsense
alternative for any type of website (they approve all websites),
for more info simply search in gooogle: boorfe’s tips monetize your website
hey, your post (along with a couple of others) inspired me to do a deep dive on that photo. Ended up making a blog. Not sure if you still read this comments, but figured you might want to know!
Thanks for the inspiration: https://open.substack.com/pub/packofwolf/p/the-day-the-nazi-flag-flew-in-san?r=5iq7p&utm_campaign=post&utm_medium=web&showWelcomeOnShare=true
Also, I wasn’t able to find the mother jones reporter you referenced, but if you have their info I’d love to send them a link, too.