Veo 218 Vara
A photography project focusing on
San Francisco neighborhoods
200 yards at a time.
The first installment of 200 Yards — Valencia & 24th — last Wednesday at Heart, was packed.
Behold our 218 vara circle of interest:
The exhibit is up at Heart until September 20th, so go buy some scallops and a jar of red and stare at the wall for a while (or better yet buy something).
In the meantime, look upon my panoramas, ye mighty, and despair!
Click to zoom – Armand‘s are the 4 black & white shots in the center. As for the others, I lost my photo list so I sadly have no idea who took which photos.
I liked the set of street signs, though the standard curved panorama didn’t do them justice:
So I deployed my advanced and ever subtle shift-sideways panorama technique (note my multiple shadows). Once again, click to zoom for 2800 pixel wide madness.
And for some historical perspective:
The US Coast Survey Map near what will be 24th and Valencia in 1859. Racetracks, a small settlement along the road to San Jose just north of Precita Creek and Serpentine Ave (anyone know the story on that one?) The Bernal Racho is just visible at the bottom).
…and 1869, roads in place, previous settlement gone. San Francisco and San Jose RR cuts through the hood.
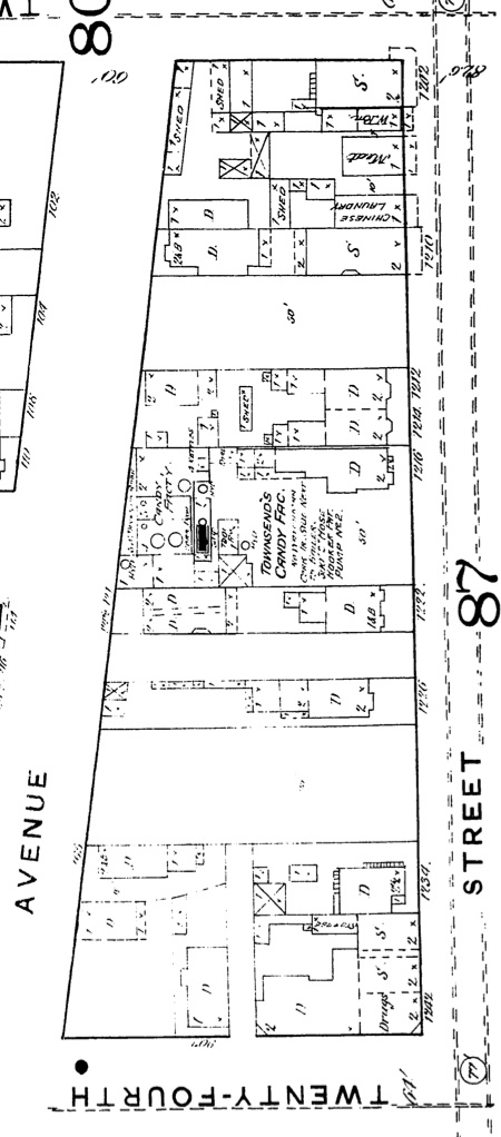
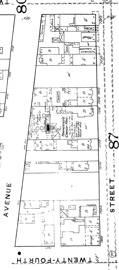
1889 Sanborn map of the 200 Yard area (quick and dirty paste, not my best work, lots of alignment issues, sorry).
Here’s the block that Heart is on. Heart was an empty field, the gas station was a drug store and two saloons (surprise), there was a candy factory in the middle of the block. There was a chinese laundry, a butcher and another saloon (surprise) on the corner of 23rd and Valencia.
(Google Earth’s image overlay is really starting to piss me off — how about some upgrades? Drag and drop of images? Better resolution? Tiling tools? Grrrr.) Anyway, the unlayered map.
Much more to discuss in the area, but that will have to wait for another time. And thus concludes your history lesson, enjoy the weekend.




















More like this please!
If you help me build a rectifier using to Canvas Warp Edit and a tilemaker for Modest Maps, I would be able to make a lot more of these!
Ossm. Any mention of varas shoots my imagination back to the time of water lots (with crooked grantors like Geary…), surveyors like O’Farrell, and alcaldes like Bartlett, fairly boring other than the fact that he changed the name of our fair town from Yerba Buena… Thanks for the great post!